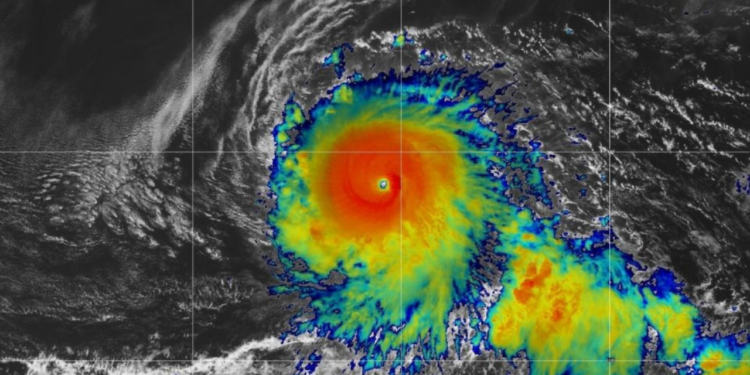
En el transcurso de este miércoles 23 de octubre el huracán Kristy se ha intensificado a la categoría cuatro en la escala Saffir Simpson. Así lo dio a conocer el Servicio Meteorológico Nacional (SMN), organismo de la Comisión Nacional del Agua (Conagua), que explicó desde sus canales oficiales, que el ciclón tropical cada vez se aleja más de la República Mexicana.
Hasta la actualización de las 15:00 horas de hoy emitida por la autoridad en materia, el sistema se localiza a 710 kilómetros al suroeste de isla Socorro en el estado de Colima, así como a 1, 140 al sur-suroeste de Cabo San Lucas en el estado de Baja California Sur.
Como huracán de categoría cuatro, Kristy está presentando vientos máximos sostenidos de 250 kilómetros por hora con rachas de hasta 305 y registra un desplazamiento con dirección al oeste a una velocidad de 31 kilómetros por hora. No obstante, debido a que ha cobrado fuerza “rápidamente”, se recomienda estar al tanto de los informes oficiales.
Kristy se aleja de México como un huracán de categoría 4

Aunque hasta el momento, el ciclón tropical Kristy ha cobrado fuerza a un huracán de categoría cuatro, la buena noticia para México es que de acuerdo con los reportes del SMN, cada vez se está alejando más del territorio nacional al tener un desplazamiento hacia el oeste.
La institución de la Conagua agregó que el sistema meteorológico permanece lejos de las costas mexicanas y por ende, su distancia y trayectoria “no representan peligro” para el país. Aun así, la autoridad ha hecho un llamado a la población de Colima y Baja California Sur para que no dejen de tomar medidas preventivas.
“Extremar precauciones a la población en general en las zonas de los estados mencionados por lluvias, viento y oleaje (incluyendo la navegación marítima) y atender las recomendaciones emitidas por las autoridades del Sistema Nacional de Protección Civil, en cada entidad”, se lee en el más reciente informe del SMN. ´´
Huracán Kristy podría alcanzar la categoría 5 de la escala Saffir Simpson

Si bien es cierto que las autoridades meteorológicas han señalado que Kristy no representa un riesgo para el territorio mexicano, no se puede pasar por alto que según los pronósticos vigentes, dicho ciclón tropical podría alcanzar la categoría cinco de la escala Saffir Simpson.
De acuerdo con los últimos gráficos presentados por el SMN, Kristy corre el riesgo de alcanzar la categoría máxima de los huracanes alrededor de las 00:00 horas del jueves 24 de octubre para luego empezar a perder fuerza en su trayectoria por el Océano Pacífico.











